Nomas tiesību izsole

AKTUĀLI

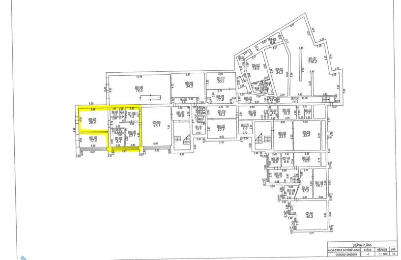
Augšdaugavas novada pašvaldība rīko nedzīvojamo telpu Rīgas iela 2, Daugavpils, nomas tiesību izsoli 

28.01.2026. plkst.9:00

Nekustamā īpašuma adreseRīgas iela 2, Daugavpils
Nomas objekta veidsBiroju ēka
Kadastra numurs0500 501 2802
Ēku kadastra apzīmējumi un platība, m2Administratīvās ēkas ar kadastra apzīmējumu 0500 001 2805 001 nedzīvojamās telpas 71.5 m2 platībā
Izsoles nosacītā cena (izsoles sākumcena) par objektu mēnesī (bez PVN)30,00 euro (trīsdesmit euro 00 centi)
Izsoles solis3,00 euro (trīs euro 00 centi)
Iznomāšanas termiņš5 gadi
Izsoles veidsMutiskā (pirmā)
Termiņš pieteikumu iesniegšanai2026.gada 19.janvāra līdz 2026.gada 23.janvārim plkst.12.00 Augšdaugavas novada pašvaldības Centrālajā pārvaldē 12.kabinetā (darbdienās no plkst. 8.00 līdz plkst. 15.30), Rīgas ielā 2, Daugavpilī, iepriekš samaksājot reģistrācijas maksu, vai ar drošu elektronisko parakstu parakstītu pieteikumu sūtot uz e-pastu: izsoles@augsdaugavasnovads.lv.  Jautājumos par izsoles gaitu kontaktpersona Sanita Snetkova, tel. 65476827, Ilze Ondzule, tel.65476739.
Reģistrācijas maksa5,00 euro (pieci euro 00 centi), kas jāieskaita Augšdaugavas novada pašvaldības Centrālās pārvaldes, reģ. Nr. 90009117568 norēķinu kontā LV37TREL9807280440200.
Izsoles datums, laiks2026.gada 28.janvārī plkst.9:00, Rīgas ielā 2, Daugavpilī, sēžu zālē
IznomātājsAugšdaugavas novada pašvaldība, reģistrācijas Nr.40900036310, juridiskā adrese Rīgas iela 2, Daugavpils.
Nomas līguma projekts, izsoles noteikumi, pieteikumsVar iepazīties Augšdaugavas novada pašvaldības Centrālajā pārvaldē, Rīgas iela 2, Daugavpils, 12. un 19.kabinetā un mājaslapā www.augsdaugavasnovads.lv, sadaļā Pašvaldība – Sabiedrībai - Īpašumi, mājokļi, izsoles, noma - Izsoles, sludinājumi  - Nomas tiesību izsoles
Nomas objekta apskates vieta un laiksIepriekš vienojoties pa tālr.29159495 ar Augšdaugavas novada pašvaldības Centrālās pārvaldes tehnisko direktoru Valēriju Ļaksu.

Nomas tiesību izsole